樺加沙颱風》強度達顛峰! 鄭明典:已達美軍「超級颱風」標準
2025/09/22 07:30 即時新聞/綜合報導
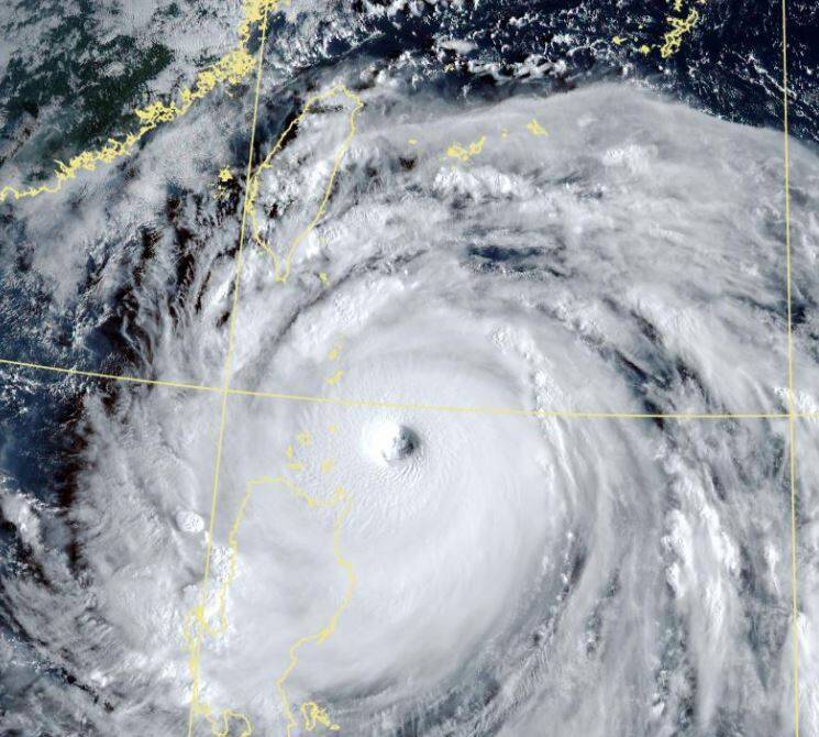
鄭明典今指出,「樺加沙」目前強度已達顛峰。圖為氣象署衛星雲圖。(圖擷取自中央氣象署)
黃其豪/核稿編輯
今年第18號颱風「樺加沙」昨日(21日)中午轉為強烈颱風,但「樺加沙」的強度仍有稍增強趨勢。前中央氣象局局長鄭明典今(22日)早7點在臉書發文指出,「樺加沙」目前強度已達顛峰。
「樺加沙」中心位置於今晨7點位在鵝鑾鼻東南方約380公里處的海面上,以每小時19轉22公里的速度向西轉西北西進行,中心氣壓為900百帕。近中心最大風速為每秒58公尺,為約每小時209公里,相當於17級風;瞬間之最大陣風達每秒73公尺,約每小時263公里,相當於17級風以上。
鄭明典指出,從過去雲型變化和所在位置判斷,現在「樺加沙」的強度應該已達顛峰,強度達到美軍聯合颱風警報中心(JTWC)「超級颱風」的標準。聯合颱風警報中心的「超級颱風」標準為風速高於每小時241公里,等同於每秒超過66.7公尺。
熱門賽事、球星動態不漏接
